资讯 >

新物种!云南发现“极危”南高黎贡黄连

央视新闻客户端​​​​​​​ 2024-07-24 16:59:30

近日,中央民族大学生命与环境科学学院龙春林教授团队联合云南高黎贡山国家级自然保护区保山管护局和云南铜壁关省级自然保护区管护局,在德宏州盈江县发现黄连属植物新种——南高黎贡黄连。

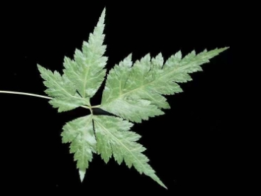
△南高黎贡黄连生存环境及形态特征图

该新物种仅有1个种群,个体数约为100株(丛),符合“极危”物种范畴,目前相关研究成果已发表在《植物纲要》上。黄连属植物是重要的药用植物,中国是其世界分布的三大中心之一,且所有物种均被列为国家二级保护植物。南高黎贡黄连区别于其他种的特征包括无发达匍匐茎、植株更高、叶片裂片大小相等、花形小且花瓣具短爪。

△南高黎贡黄连形态特征图

南高黎贡黄连的发现对研究黄连属植物亲缘关系和繁育具有重要意义,同时因其面临人类活动威胁,亟待进行保护和深入研究。(总台记者 李常明)

责编:金泳辰、侯兴川

手机海外网
使用手机扫一扫